Tumeur osseuse scapulaire chez un chat - Démarche diagnostique et exérèse chirurgicale
Tumeur osseuse scapulaire chez un chat - Démarche diagnostique et exérèse chirurgicale
A propos d'un cas clinique
Publication dans le prochain l'Essentiel par Flora GOLLAIN, Jean-François BOURSIER et Pierre GUIGO
A propos d'un cas clinique
Publication dans le prochain l'Essentiel par Flora GOLLAIN, Jean-François BOURSIER et Pierre GUIGO
Un chat est présenté pour la prise en charge d’une masse ossifiée en regard de la capsule articulaire de l’épaule gauche. Un scanner pour bilan d’extension local et à distance, puis une biopsie de la masse sont réalisés avant une intervention chirurgicale d’exérèse.
Anamnèse
Un chat européen femelle stérilisée de 9 ans est présenté en consultation de référé de chirurgie pour apparition d’une masse thoracique évoluant depuis 2 semaines. L’examen clinique d’admission est dans les normes. Une masse dure en regard de l’épine scapulaire d’environ 3 cm de diamètre est mise en évidence. L’animal ne présente pas de boiterie ni de douleur associée.
Examens complémentaires
Radiographies des membres thoraciques
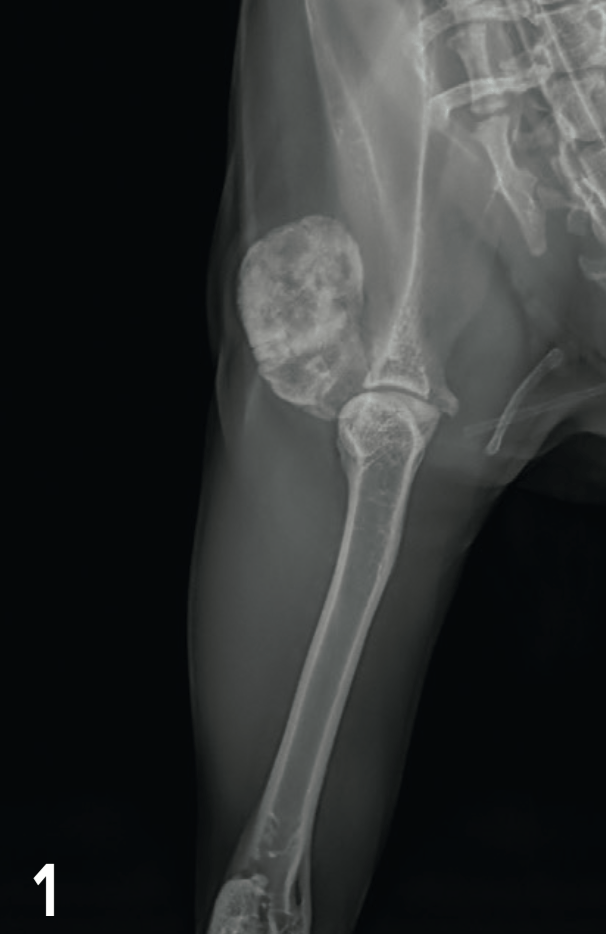
Les radiographies du membre thoracique gauche mettent en évidence une lésion d’opacité minérale hétérogène. Cette lésion est bien délimitée, de forme ovoïde et située en face latérale de la scapula gauche, en regard de l’acromion. Aucune tuméfaction des tissus mous périphériques n’est notée (Fig. 1 et 2). Ces images sont compatibles avec un processus tumoral intéressant la scapula gauche dans sa partie distale, l’humérus gauche dans sa partie proximale ou la capsule articulaire scapulo-humérale. Cependant, un phénomène de minéralisation dystrophique ectopique périarticulaire (ostéochondrome, ostéochondromatose...) ne peut être complètement exclu sur la base de ces clichés.
Un examen tomodensitométrique (scanner) est réalisé afin de préciser les rapports anatomiques de cette lésion avec les structures adjacentes.
Légendes : Figures 1 et 2 : Radiographies de face et de profil de la scapula gauche à l’admission, mettant en évidence une lésion osseuse bien délimitée en face latérale de la scapula gauche.
Scanner du membre thoracique gauche et du thorax
L’examen confirme la présence d’une lésion osseuse proliférative excentrique hétérogène aux contours relati- vement lisses et bien délimités. Celle-ci est en continuité avec l’extrémité distale de l’épine scapulaire gauche. Elle mesure 1,4 cm de largeur sur 2,9 cm de longueur sur 1,7 cm de hauteur. La zone de transition entre cette lésion et l’os normal de la scapula est courte. Les structures musculaires adjacentes ne sont pas envahies. On ne note pas d’adénomégalie associée.
La lésion osseuse mise en évidence est compatible en premier lieu avec un processus tumoral osseux primaire bénin (chondrome, ostéome ou ostéochondrome) ou malin (chondrosarcome ou ostéosarcome de bas grade, Fig. 3).
En raison de la forte suspicion de processus tumoral, un scanner du thorax est réalisé au cours de la même anes- thésie. Celui-ci ne révèle aucune anomalie significative. Une modélisation 3D par prototypage rapide et impression 3D d’un modèle plastique de la masse et de la scapula est réalisée à la suite du scanner (Fig. 4 et 5).
Légendes : Figures 3, 4 et 5 : Image tomodensitométrique des scapulas en coupe transversale, en reconstruc- tion osseuse. Noter la présence d’une masse bien délimitée sur l’épine scapu- laire (tête de flèche rose). Reconstruction informatique 3D de la scapula gauche à partir de l’examen scanner. Impression plastique de la scapula gauche réalisée suite à l’examen scanner. Noter la présence de la masse située sur l’épine scapulaire.
Biopsie
Le chat est tondu au niveau de la masse et la zone est pré- parée de manière aseptique. Une biopsie osseuse fermée incisionnelle est réalisée avec un biopsy punch de 6 mm. Les résultats de l’analyse histologique sont en faveur d’un ostéochondrome.
L’hypothèse retenue est donc un ostéochondrome de l’épine scapulaire gauche. Une exérèse chirurgicale est alors proposée aux propriétaires.
Intervention chirurgicale
Une incision cutanée est réalisée latéralement à l’épine scapulaire en regard de la masse. Le trajet de biopsie est retiré. La masse est disséquée et les tissus nobles sont réclinés ventralement. Une ostéotomie de l’épine scapulaire est réalisée à la scie oscillante (Fig. 6). Un rinçage sous pression est réalisé avant une fermeture conventionnelle musculaire, sous-cutanée et cutanée. La pièce d’exérèse complète est envoyée en analyse histo- logique. Des radiographies postopératoires sont réalisées afin d’apprécier l’exérèse de l’épine scapulaire (Fig. 7 et 8).
Évolution
Le chat présente une très bonne évolution clinique posto- pératoire. Un mois après l’intervention, aucune récidive n’est observée. Une légère inflammation locale semble être détectée par le propriétaire, dont l’évolution est à surveiller. L’analyse histologique de la pièce d’exérèse est en faveur d’un ostéosarcome dont l’exérèse est complète, les marges de la masse étant saines.
Légendes : Figure 6, 7 et 8 : Exérèse de la masse à la scie oscillante.. Radiographies de face et de profil de la scapula gauche postopératoire. Noter l’absence de l’épine scapulaire, retirée lors de la chirurgie.
Discussion
Les principales tumeurs osseuses des carnivores domes- tiques sont l’ostéochondrome et l’ostéosarcome. En fonction des signes, de l’anamnèse, de l’examen clinique et des radiographies réalisées, un diagnostic présomptif peut être proposé. Toutefois, l’analyse histopathologique est indispensable pour établir un diagnostic de certitude d’ostéosarcome ou de chondrosarcome, et de les différencier des processus néoplasiques bénins.
Objectifs et réalisation d’une biopsie osseuse
La réalisation d’une biopsie peut être omise en cas de présentation typique d’une tumeur agressive. En effet, un risque non négligeable de diagnostic mal orienté existe, comme dans le cas présenté ici. La réalisation d’une biopsie est conseillée dans les régions avec un fort taux endémique de maladie fongique, ou lorsque la masse se développe dans une localisation atypique pour une tumeur osseuse 1. Dans notre cas, la réalisation de la biopsie a été motivée par la localisation de la masse facile d’accès et sans risque de fracture postbiopsie, mais également par les images au scanner ne montrant aucun signe d’agressivité de la masse.
Distinguer un ostéosarcome d’un ostéochondrome à partir d’un échantillon de biopsie peut se révéler délicat. Un ostéosarcome chondroblastique peut être confondu avec un chondrosarcome car la présence d’une production ostéoïde permet de diagnostiquer l’ostéosarcome, et celle- ci peut être absente sur l’échantillon récolté. De ce fait, le cas présenté ici sert également à rappeler la nécessité d’informer et d’éclairer les propriétaires sur l’absence de corrélation possible entre les résultats d’une biopsie, qui ne représente que le reflet d’un fragment de la lésion, et les résultats d’une pièce d’exérèse dans son ensemble 1.
Le taux de précision d’une biopsie osseuse et la fiabilité de son résultat sont évalués autour de 80 à 90 % 2.
Plusieurs points sont à prendre en compte avant la mise en pratique d’une biopsie osseuse. Les risques incluent la majo- ration de la boiterie après la biopsie et le risque de fracture sur le site opératoire. Un risque d’absence de diagnostic sur l’échantillon prélevé est également présent et doit être abordé avec les propriétaires ; il peut nécessiter la réitération de la biopsie ou la réalisation d’une biopsie excisionnelle.
La sélection du site de biopsie est également prépondérante. Elle permet de maximiser les chances de succès du prélè- vement. Contrairement aux tissus mous, pour lesquels une biopsie périphérique est privilégiée pour éviter le centre nécrotique de la masse, les biopsies osseuses nécessitent une approche intéressant plutôt le centre radiographique afin de s’affranchir au maximum de la réaction périostée en périphérie de la lésion. Dans notre cas, l’hypothèse la plus probable ayant conduit à la mauvaise interprétation de la lecture de l’analyse histologique de la biopsie est que le prélèvement envoyé en analyse a été prélevé dans une zone de prolifération osseuse ne présentant aucun signe de malignité.
Par ailleurs, lors de la préparation de la biopsie, la prise en charge ultérieure de la tumeur doit impérativement être anticipée. Le trajet de la biopsie est considéré comme contaminé par des cellules néoplasiques et devra être retiré lors de la prise en charge thérapeutique, d’autant plus si une chirurgie autre que l’amputation est envisagée. Lors de la réalisation de la biopsie, le cortex opposé ne doit pas être pénétré afin de ne pas implanter de cellules tumorales et diminuer également le risque de fracture postprélèvement 1.
La réalisation d’une analyse cytologique est une alterna tive envisageable dans le cas des tumeurs osseuses, pour lesquelles l’obtention d’un diagnostic est possible dans 71 à 80 % des cas 3.
Les ostéosarcomes félins
L’ostéosarcome est une tumeur peu courante chez le chat, mais il demeure la tumeur osseuse la plus courante chez cette espèce. Les animaux sont généralement âgés de 8 à 10 ans, sans prédisposition de race ou de sexe 4, 5. Entre 34 et 65 % des animaux présentent un ostéosarcome appendiculaire 4, 6.
Chez le chat, 10 % des animaux présentent des métastases lors du diagnostic d’ostéosarcome, soit moins que chez le chien, chez lequel il est généralement considéré que des métastases sont déjà présentes au moment du diagnostic 1. Dans le cas présenté, la réalisation d’un scanner thoracique comme bilan d’extension à distance n’a pas révélé de métas- tase visible. Une étude rapporte que sur 145 chats avec un diagnostic d’ostéosarcome, 35 ont fait l’objet de radiographies thoraciques au cours de leur suivi et seuls 2 ont présenté des images compatibles avec des métastases pulmonaires 4, 6. Par ailleurs, une étude rapporte que sur 12 animaux traités par amputation, 6 ont survécu au-delà de 64 mois après la chirurgie et 4 au-delà des 5 ans après la chirurgie 5.
Bien que les recommandations actuelles soient en faveur d’une amputation, des études (principalement menées chez le chien) décrivent la réalisation d’exérèse de la tumeur en préservant une partie du membre affecté. Ici, une exé- rèse large de la masse et la préservation du membre ont été motivées par les résultats du scanner, de l’impression 3D, mais également, et surtout, du résultat de la biopsie et de l’analyse histologique. La révélation d’un processus tumoral malin préopératoire aurait sans doute orienté le choix vers une amputation par ablation du membre et de la scapula. Dans le cas d’ostéosarcome scapulaire, comme chez notre chat, des scapulectomies subtotales ont été pratiquées. Elles permettent aux animaux de retrouver l’usage du membre de manière satisfaisante, avec un temps de survie médian comparable aux ostéosarcomes appendiculaires 7. La scapulectomie partielle nécessite le retrait d’une section de la partie proximale de la scapula, en préservant l’acromion et les muscles deltoïdes, ainsi que la partie distale des muscles infra-épineux et supra- épineux, assurant une plus grande stabilité de la capsule articulaire comparée avec une scapulectomie subtotale. Cette dernière implique le retrait de la majeure partie de la scapula tout en préservant le glénoïde et la capsule de l’épaule. Dans le cas présent, la tumeur étant située sur la partie distale de l’épine scapulaire, cette technique n’aurait pas pu être envisagée dans un objectif de parage large. Sur ce chat en particulier, étant donné l’absence de récidive locale à court terme, une attitude conservatrice a été mise en place. En cas de récidive, une amputation pourrait être recommandée.
Bibliographie
1. TOBIAS K., Manual of Small Animal Soft Tissue Surgery, John Wiley & Sons, 2017, 622 pages.
2. POWERS B.E. et al., « Jamshidi needle biopsy for diagnosis of bone lesions in small animals », J. Am. Vet. Med. Assoc., 1988, 193(2), pages 205‐210.
3. SABATTINI S. et al., « Comparative Assessment of the Accuracy of Cytological and Histologic Biopsies in the Diagnosis of Canine Bone Lesions », J. Vet. Intern. Med., 2017, 31(3), pages 864‐871.
4. HELDMANN E. et al., « Feline osteosarcoma: 145 cases (1990‐ 1995) », J. Am. Anim. Hosp. Assoc., 2000, 36(6), pages 518‐521.
5. BITETTO W.V. et al., « Osteosarcoma in cats: 22 cases (1974‐1984) », J. Am. Vet. Med. Assoc., 1987, 190(1), pages 91‐93.
6. DIMOPOULOU M. et al., « Histologic prognosticators in feline osteosarcoma: a comparison with phenotypically similar canine osteosarcoma », Vet. Surg., 2008, 37(5), pages 466‐471.
7. MONTINARO V. et al., « Clinical outcome of 42 dogs with scapular tumors treated by scapulectomy: a Veterinary Society of Surgical Oncology (VSSO) retrospective study (1995‐2010) », Vet. Surg., 2013, 42(8), pages 943‐950.







